Inzerát byl odstraněn×

Prodej pozemku 32 m2

Zpět
Praha-Lipence
Přidat do oblíbených Nahlásit chybný nebo jinak obtěžující inzerát administrátorovi.

Přehled

Datum vložení
28. 12. 2025
Datum aktualizace
15. 4. 2026
Počet zobrazení
5537
Cena
44 800 Kč
včetně provize a právního servisu.
Typ nemovitosti:
Pozemek
Druh:
Prodej
ID:
32058
Adresa:
Praha-Lipence
Praha
Typ:
Jiné
Plocha:
32 m2
Hodnocení:
Facebook Twitter Google LinkedIn Pinterest Email

Popis

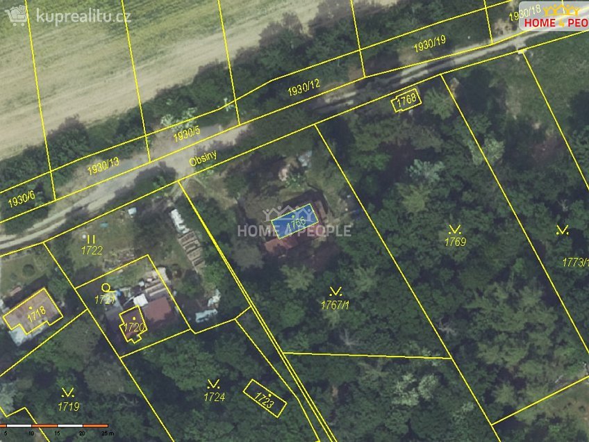
Nabízíme k prodeji spoluvlastnický podíl 1/2 na pozemku parc. č. 1766v katastrálním území Lipence, zapsaném na LV 977. Pozemek má celkovou výměru cca 32 m², předmětem prodeje je tedy ideální polovina podílu. Na pozemku se nachází cizí rekreační objekt. Parcela se nachází v klidné části Lipenců a je evidována v katastru nemovitostí. Prodej je vhodný zejména pro zájemce o rozšíření stávajícího pozemku v okolí nebo jako dlouhodobá investice. Podrobnější informace k pozemku, listu vlastnictví a právnímu stavu rádi poskytneme na vyžádání. Ev. číslo: 32058.

Mapa

Místa v okolí

Hodnocení

Celkové hodnocení
Pro snadnější hodnocení realit se prosím zaregistrujte.
*
*

Kalkulačka pojištění nemovitosti

Kontakt makléře

*
*
*
*

Podobné reality