Prodej stavebního pozemku 1000 m2

Zpět
Proboštov
Přidat do oblíbených Nahlásit chybný nebo jinak obtěžující inzerát administrátorovi.

Přehled

Datum vložení
1. 4. 2026
Datum aktualizace
1. 4. 2026
Počet zobrazení
3
Cena
2 250 Kč za m2
Typ nemovitosti:
Pozemek
Druh:
Prodej
ID:
655851
Adresa:
Proboštov
Praha
Typ:
Bydlení
Plocha:
1000 m2
Hodnocení:
Facebook Twitter Google LinkedIn Pinterest Email

Popis

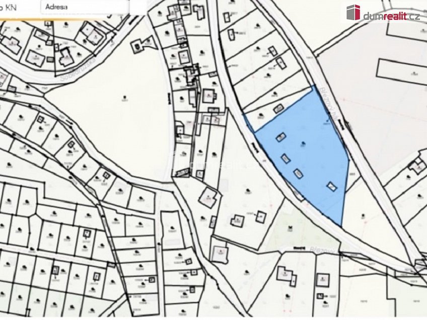
Naše společnost Vám zprostředkuje prodej rovinatého pozemku o výměře 1 000 m², určeného k výstavbě rodinného domu v klidné části obce Proboštov. Pozemek se nachází v lokalitě která je ideální pro klidné rodinné bydlení. Možnost odkupu části pozemku dle vlastních požadavků od 700 m² až do 5 018 m² pro vyměření vlastní parcely — nabízíme flexibilní řešení; při odkupu celého pozemku je možná individuální dohoda o ceně a podmínkách Hlavní přednosti: - Výměra: 700 m² - 5 018 m² dle vlastních požadavků - Účel: bydlení - Voda: na pozemku - Elektřina: na hranici pozemku - Vlastnictví: osobní - Klidná část obce s dobrou dostupností Pro více informací a sjednání prohlídky mě kontaktujte. Rychlé jednání vítáno. Ev. číslo: 655237.

Mapa

Místa v okolí

Hodnocení

Celkové hodnocení
Pro snadnější hodnocení realit se prosím zaregistrujte.
*
*

Kalkulačka pojištění nemovitosti

Kontakt makléře

*
*
*
*

Podobné reality