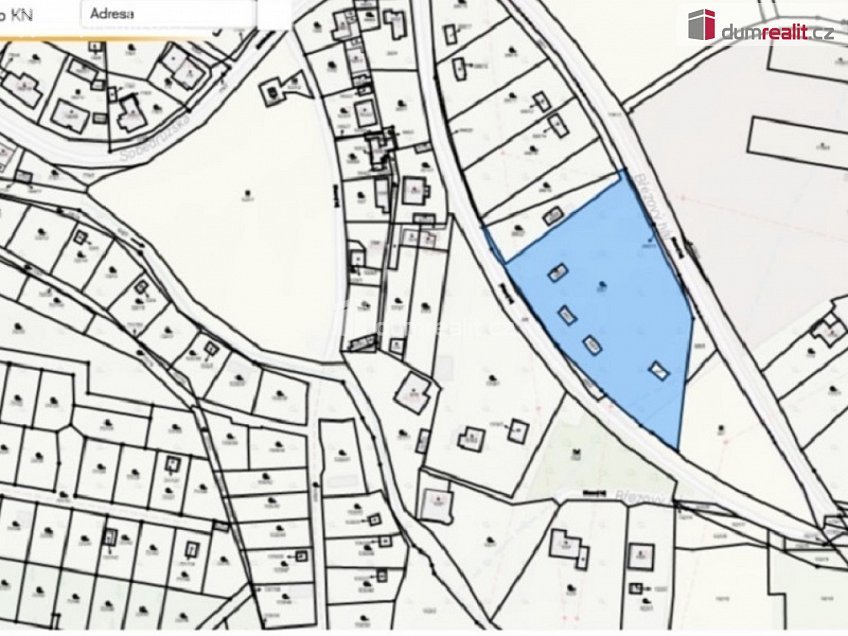
Prodej stavebního pozemku 5018 m2

Zpět
Proboštov
Přidat do oblíbených Nahlásit chybný nebo jinak obtěžující inzerát administrátorovi.

Přehled

Datum vložení
3. 4. 2026
Datum aktualizace
3. 4. 2026
Počet zobrazení
8
Cena
2 250 Kč za m2
Typ nemovitosti:
Pozemek
Druh:
Prodej
ID:
655883
Adresa:
Proboštov
Praha
Typ:
Bydlení
Plocha:
5018 m2
Hodnocení:
Facebook Twitter Google LinkedIn Pinterest Email

Popis

Naše společnost Vám zprostředkuje prodej stavebního pozemku v klidné části obce Proboštov Nabízíme k prodeji rovinatý pozemek určený k výstavbě rodinného domu o celkové výměře 5 018 m². Pozemek se nachází v lokalitě která je ideální pro klidné rodinné bydlení. Hlavní přednosti: - Výměra: 5 018 m² - Účel: bydlení - Voda: na pozemku je 5 studní - Elektřina: na hranici pozemku (možnost napojení až na 10 domů) - Vlastnictví: osobní - Klidná část obce s dobrou dostupností - Možnost odkupu části pozemku pro vyměření vlastní parcely — nabízíme flexibilní řešení; při odkupu celého pozemku je možná individuální dohoda o ceně a podmínkách Pozemek je vhodný pro výstavbu více rodinných domů s prostornou zahradou Pro více informací a sjednání prohlídky mě kontaktujte. Rychlé jednání vítáno. Ev. číslo: 655269.

Mapa

Místa v okolí

Hodnocení

Celkové hodnocení
Pro snadnější hodnocení realit se prosím zaregistrujte.
*
*

Kalkulačka pojištění nemovitosti

Kontakt makléře

*
*
*
*

Podobné reality