Prodej stavebního pozemku 1725 m2

Zpět
Libeř
Přidat do oblíbených Nahlásit chybný nebo jinak obtěžující inzerát administrátorovi.

Přehled

Datum vložení
27. 1. 2026
Datum aktualizace
27. 1. 2026
Počet zobrazení
4
Cena
9 990 000 Kč
Neplatíte provizi RK. Jednat budete přímo s majitelem nemovitosti.
Typ nemovitosti:
Pozemek
Druh:
Prodej
ID:
27781
Adresa:
Libeř
Praha
Typ:
Bydlení
Plocha:
1725 m2
Hodnocení:
Facebook Twitter Google LinkedIn Pinterest Email

Popis

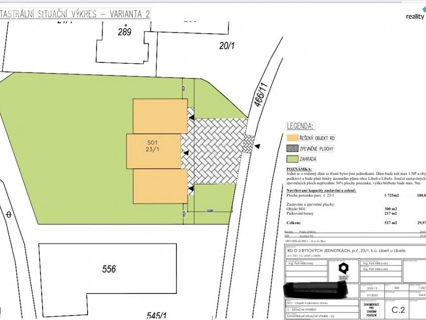
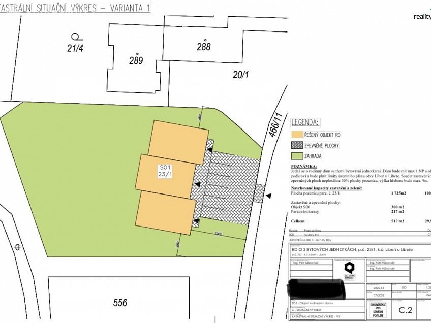
Naše společnost Vám zprostředkuje prodej stavebního pozemku, který se nachází v obci Libeň u Libře na Praze Západ cca 2 km od Dolních Břežan. Pozemek se nachází na krásném, slunném a rovinném místě. V blízkosti se nachází autobusová zastávka MHD č. 341, 362. Na pozemku je elektroměrový pilíř s přípojkou elektřiny. K vodě a kanalizaci je vypracován schválený projekt pro připojení na veřejnou síť, která je v přilehlé komunikaci. Již máme vypracovanou studii pro výstavbu rodinného domu o třech bytových jednotkách, ale je dle územního plánu možnost stavby pro bydlení v rodinných domech, možná drobná občanská vybavenost, nerušící služby, zařízení do 20-ti lůžek, nepřípustné jsou bytové domy. Neplatíte žádnou provizi RK, jednáte přímo s majitelem. V případě zájmu o více informací, volejte na tel. 603 174 220 nebo pište na níže uvedený email. Ev. číslo: 27781.

Mapa

Místa v okolí

Hodnocení

Celkové hodnocení
Pro snadnější hodnocení realit se prosím zaregistrujte.
*
*

Kalkulačka pojištění domácnosti

Kontakt makléře

*
*
*
*

Podobné reality