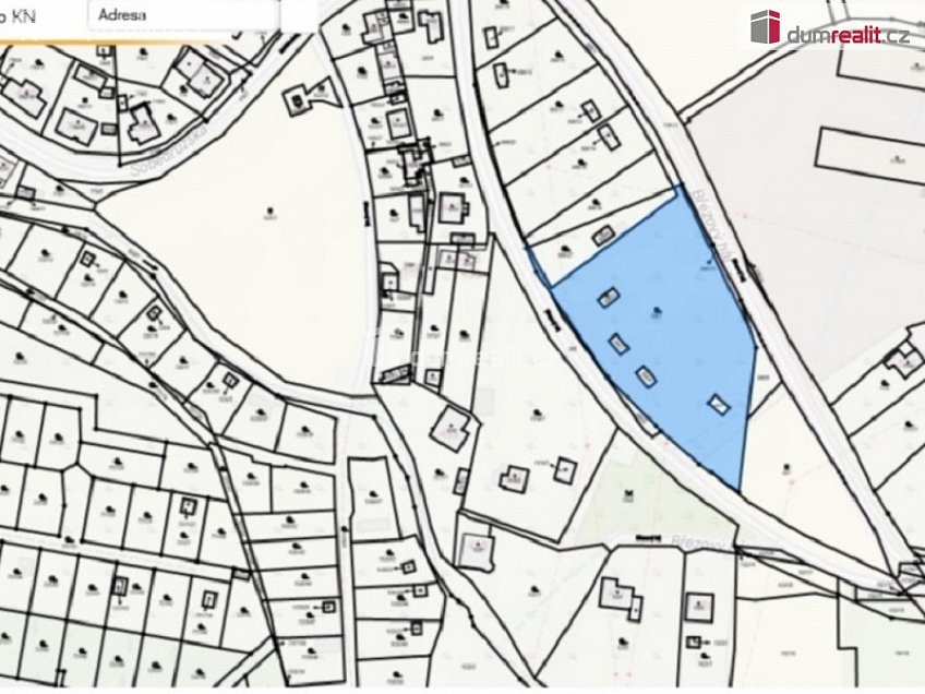
Prodej stavebního pozemku 5018 m2

Zpět
Proboštov
Přidat do oblíbených Nahlásit chybný nebo jinak obtěžující inzerát administrátorovi.

Přehled

Datum vložení
28. 3. 2026
Datum aktualizace
28. 3. 2026
Počet zobrazení
14
Cena
2 250 Kč za m2
Typ nemovitosti:
Pozemek
Druh:
Prodej
ID:
655783
Adresa:
Proboštov
Praha
Typ:
Bydlení
Plocha:
5018 m2
Hodnocení:
Facebook Twitter Google LinkedIn Pinterest Email

Popis

Naše společnost Vám zprostředkuje prodej stavebního pozemku v klidné části obce Proboštov Nabízíme k prodeji rovinatý pozemek určený k výstavbě rodinného domu o celkové výměře 5 018 m². Pozemek se nachází v lokalitě která je ideální pro klidné rodinné bydlení. Hlavní přednosti: - Výměra: 5 018 m² - Účel: bydlení - Voda: na pozemku je 5 studní - Elektřina: na hranici pozemku (možnost napojení až na 10 domů) - Vlastnictví: osobní - Klidná část obce s dobrou dostupností - Možnost odkupu části pozemku pro vyměření vlastní parcely — nabízíme flexibilní řešení; při odkupu celého pozemku je možná individuální dohoda o ceně a podmínkách Pozemek je vhodný pro výstavbu více rodinných domů s prostornou zahradou Pro více informací a sjednání prohlídky mě kontaktujte. Rychlé jednání vítáno. Ev. číslo: 655169.

Mapa

Místa v okolí

Hodnocení

Celkové hodnocení
Pro snadnější hodnocení realit se prosím zaregistrujte.
*
*

Kalkulačka pojištění domácnosti

Kontakt makléře

*
*
*
*

Podobné reality