Prodej stavebního pozemku 9478 m2

Zpět
Pražská, Hořovice
Přidat do oblíbených Nahlásit chybný nebo jinak obtěžující inzerát administrátorovi.

Přehled

Datum vložení
6. 4. 2026
Datum aktualizace
6. 4. 2026
Počet zobrazení
10
Cena
40 000 000 Kč
včetně provize a právního servisu.
Typ nemovitosti:
Pozemek
Druh:
Prodej
ID:
32145
Adresa:
Pražská
Hořovice
Praha
Typ:
Komerční
Plocha:
9478 m2
Hodnocení:
Facebook Twitter Google LinkedIn Pinterest Email

Popis

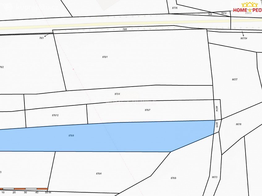
Nabízíme k prodeji pozemky parc. č. 876/8 a 876/9 v katastrálním území Velká Víska, situované v bezprostřední návaznosti na město Hořovice a rozvíjející se komerční zónu. Dle územního plánu jsou pozemky určeny k zastavění a představují zajímavou investiční příležitost s potenciálem dalšího komerčního rozvoje. Bezprostřední sousedství nově vybudovaného Kauflandu potvrzuje rostoucí význam celé lokality a vytváří předpoklad pro budoucí rozšíření obchodních, službových či jiných podnikatelských aktivit. Významným benefitem je rovněž blízkost technické infrastruktury, včetně vedení vysokého napětí, které může být výhodou z pohledu budoucího napojení a rozvoje komerčních projektů. Lokalita nabízí výbornou dopravní dostupnost, viditelnou rozvojovou dynamiku a zajímavý potenciál budoucího zhodnocení. Hlavní výhody: - parcely č. 876/8 a 876/9 - lokalita Hořovice / Velká Víska - dle územního plánu určeno k zastavění - v sousedství nově vybudovaný Kaufland - zajímavá investiční příležitost - dobrá dostupnost a rozvojový potenciál území Více informací, přesná výměra a podmínky prodeje na vyžádání. Ev. číslo: 32145.

Mapa

Místa v okolí

Hodnocení

Celkové hodnocení
Pro snadnější hodnocení realit se prosím zaregistrujte.
*
*

Kalkulačka pojištění domácnosti

Kontakt makléře

*
*
*
*

Podobné reality